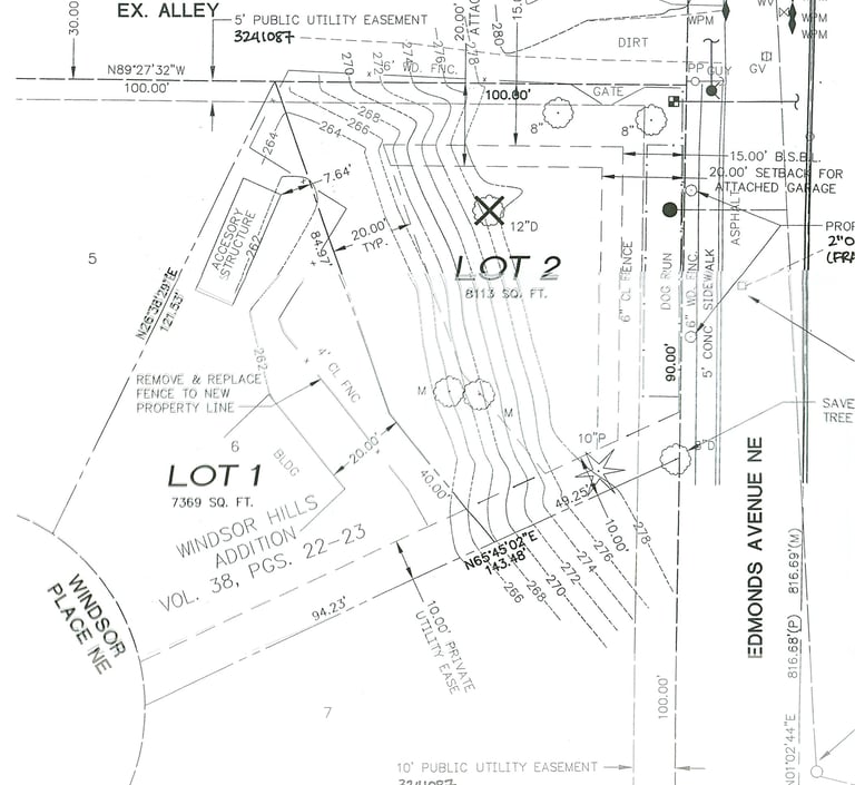
DADU in Renton